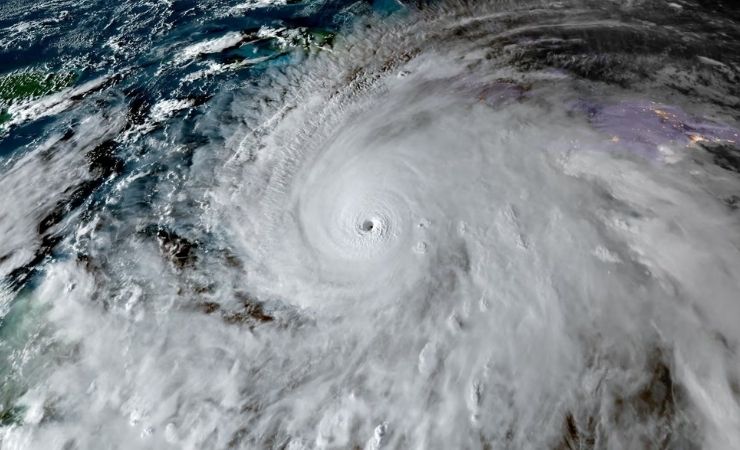
RADIO ULEAM: El huracán Melissa impactó el suroeste de Jamaica este martes. De hecho, la catastrófica tormenta de Categoría 5 desató graves inundaciones, arrancó techos y provocó deslizamientos de tierra.
Como consecuencia, los vientos de 295 km/h convirtieron a Melissa en uno de los huracanes del Atlántico más fuertes registrados en 174 años de historia.
Jamaica: Destrucción y el desafío de recuperarse
El Primer Ministro, Andrew Holness, sentenció la gravedad del panorama: “No hay infraestructura en la región que pueda soportar una tormenta de categoría 5. Por lo tanto, la pregunta ahora es la velocidad de la recuperación. Ese es el desafío”.
Tras el impacto cerca de New Hope, los reportes señalaron deslizamientos de tierra, caída de árboles y la interrupción del servicio eléctrico para el 77% de los clientes, aproximadamente 540.000 hogares.
Mientras tanto, Desmond McKenzie, vicepresidente del Consejo de Gestión de Riesgos de Desastres, confirmó que una inundación dejó atrapadas al menos a tres familias en Black River. Lamentablemente, las cuadrillas no pudieron socorrerlas debido a las condiciones de riesgo extremo. McKenzie advirtió que la jurisdicción suroriental de St. Elizabeth está «bajo el agua», indicando que la evaluación de daños tomará tiempo.
El peligro persiste
A pesar de las advertencias, el Servicio Meteorológico de Jamaica advirtió que el peligro persiste. Rohan Brown señaló que a medida que Melissa se aleja de la costa, su rotación provocará una fuerte marejada ciclónica en el norte de Jamaica durante la noche.
Actualmente, la tormenta mantiene su fuerza en Categoría 4 mientras se dirige hacia Cuba, donde se espera su impacto en la zona oriental.
Aún así, la furia de la tormenta despertó la curiosidad de algunos adolescentes jamaicanos. Gavin Fuller, de 15 años, confesó su asombro: “Cuando el viento aúlla, se siente como si el mundo se viniera abajo”.
Finalmente, Colin Bogle, asesor de Mercy Corps, resumió la tensión: “La gente está nerviosa y solo trata de aguantar hasta que pase la tormenta”.
FUENTES: TC TELEVISION

